ID CP2958080

Teren intravilan 1.113 mp – deschidere la DN7C și Râul Bâlea – Cârțișoara

ID CP2958080

89,500 €

Teren de 1,113 mp de vânzare
Cartisoara
1,113 mp

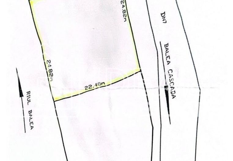
Vă prezentăm spre vânzare un teren intravilan situat în comuna Cârțișoara, în zona Bâlea-Glăjărie, pe traseul turistic al Transfăgărășanului (DN7C). Proprietatea este compusă din două parcele alăturate, cu suprafețe de 563 mp și 550 mp, rezultând o suprafață totală de 1.113 mp.

Terenul beneficiază de o poziționare foarte bună, cu deschidere de aproximativ 58 m la DN7C și aproximativ 50 m la Râul Bâlea, oferind atât vizibilitate excelentă, cât și un cadru natural atractiv.

Conform documentației urbanistice existente, terenul este situat într-o zonă destinată activităților turistice și de agrement, fiind potrivit pentru dezvoltarea unor proiecte precum: casă de vacanță, unitate de cazare turistică, restaurant sau terasă.

Caracteristici:

Suprafață totală: 1.113 mp

Componență: două parcele (563 mp + 550 mp)

Deschidere la DN7C: aprox. 58 m

Deschidere la Râul Bâlea: aprox. 50 m

Regim de înălțime: P, P+E, P+M

POT maxim: 40%

Utilități disponibile în zonă: energie electrică și apă

Proprietatea dispune de documentație completă (Carte Funciară, planuri cadastrale) și reprezintă o oportunitate bună pentru investiții turistice, datorită amplasării pe unul dintre cele mai circulate trasee montane din zonă.

Preț: 89.500 euro

Pentru mai multe informații sau programarea unei vizionări, ne puteți contacta: 0744 996 302 - Sara Malanga

Citește mai mult

  • Tip teren
    Construcții
  • Suprafață teren
    1,113 mp
  • Front stradal
    58.0 m
  • Deschidere la
    DN
  • Clasificare
    Intravilan
  • Disponibilitate
    Imediat
  • POT (%)
    40.0
  • Certificat de urbanism
    Da

Facilități

Acces auto
Apă
Curent
Iluminat stradal
La șosea
Mijloace de transport în comun
Oportunitate de investiții
Străzi asfaltate
Sara Maria Malanga
Broker imobiliar

0744427504


Solicită chiar acum o vizionare
Telefon
Sună acum Solicită vizionare
Necesare:

Site-ul nu poate funcționa corect fără aceste cookie-uri. Vezi cookie-urile

Statistică:

Strângem statistici anonime despre voi, vizitatorii unici, pentru a vă îmbunătăți experiența dumneavoastră. Vezi cookie-urile

Marketing:

Pentru a ne promova mai eficient serviciile noastre, folosim cookies pentru a vă identifica și a vă oferi proprietăți și servicii personalizate. Vezi cookie-urile

Acest site folosește cookies, află detalii. Alege ce tipuri de cookies dorești să permitem: